Fire Ban in Effect    Read More >
Fire Ban in Effect    Read More >

Eaglecrest Golf Course Purchase & Zoning



									

							
			
			
			
			
			
        
                                                                                
					                        
    
                                                                                					                                        					
																																								
					

					
                                                    
					                                            
            

The Town has purchased the Eaglecrest Golf Course lands, giving the Town of Qualicum Beach an opportunity to guide land use and preserve natural areas.

The purchase price of $8.5 million was funded in part by a $2.125 million contribution from the Christopher Foundation, ensuring that approximately 40 percent of the property (about 40 acres) will be preserved as forested parkland with walking trails and habitat restoration. The remaining lands will be home to a nine-hole golf course and carefully planned housing developments to help meet community need.

The Town is committed to creating a plan that will meet community needs, environmental sustainability and housing goals. This acquisition allows a once-in-a-generation opportunity to guide the future of a major land parcel in a way that benefits residents today and for years to come.

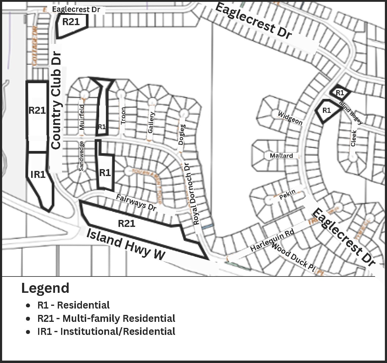
Eaglecrest Golf Course Zoning - Map (1)
Eaglecrest Golf Course Revisioning - Map (1)
Eaglecrest Neighbourhood boundaries
Eaglecrest Golf Course Zoning - Map (1)
Eaglecrest Golf Course Revisioning - Map (1)
Eaglecrest Neighbourhood boundaries
  • Dec 2025 – Purchase finalized
  • Nov 1, 2025 – Deadline to complete due diligence
  • Oct 30 – Decision to Purchase Announced
  • Sept 17, Oct 22 – Bylaw Readings
  • Oct 6 – Official Public Hearing
  • Sept 9 – Public Open Houses
  • Aug – meetings with residents’ associations, golf course members and community groups

Engagement Oveview

Initial consultation was led by MODUS Planning. The Town heard from the public on:

  • Specific concerns or conditions that would affect support for the acquisition.
  • Short-term and long-term benefits and risks of the proposed acquisition.
  • Types of housing most appropriate in which areas.
  • Which community improvements should be prioritized If if land sales exceeds the purchase price.

Public Engagement – Purchase

  • Ongoing – Meetings with residents’ associations, golf course members and community groups to gauge support for the aquisition.
  • Sept  9, 2025 – Public Open House. View the Presentation and view the Open House Summary.
  • Sept 9, 2025 – Survey inviting input on the re-visioning of the potential land use and voice any concerns.

Public Engagement – Zoning 

 

The purchase price is $8.5 million. The purchase will be funded through the sale of up to 10% of the land for housing, with the Town acting as the initial developer by subdividing the lands and establishing development guidelines in consultation with the community.

The Christopher Foundation contributed $2.125 million of the purchase price for the Eaglecrest Golf Course lands – with a requirement to preserve approximately 40 acres as long-term parkland.

Short-term costs will be covered by reallocating existing funds in the Town’s budget, which would subsequently be replenished through land sales. Sale of existing Town-owned land in the Eaglecrest neighbourhood was also considered as part of the financing strategy.

To contact the Town with questions or inquiries related to this project, please use the Public Inquiry Form.

FAQ

Why is the Town buying the Eaglecrest Lands?

Purchasing the lands ends years of uncertainty and speculation over the course’s future. It allows the Town to control land use, placing the future of the lands into public hands.

The acquisition secures long-term community control, improves a 9-hole golf course, supports needed housing opportunities and advances environmental and climate goals.

What are the benefits for Qualicum Beach?

This purchase will:

  • Preserve approximately 40% of the land as permanent parkland with trails and reforested areas.
  • Maintain and improve a nine-hole golf course
  • Create space for future housing builds that meet provincial requirements
  • Offer opportunities to fund infrastructure upgrades
  • Keep the future of the lands in public hands

What types of uses and densities will be permitted on the lands identified for development?

  • Multi-Family Residential (R21):
    • Could allow up to three-storey apartments, townhomes, patio homes or detached dwellings.
    • Max height 11 m.
  • A mix of Institutional and Residential (IR1):
    • Allows multi-residential up to five-storeys (15 m).
    • Site could permit seniors’ housing or care facilities.
  • Residential 1 (R1):
  • Same as existing adjacent Eaglecrest residential zoning.
  • Up to 4 dwelling units per lot, as per Provincial legislation (Bill 44).
  • Max height 11 m. Min lot size 500 m².

How flexible is the use of the land after rezoning ?

Zoning sets the maximum uses allowed on the land. That doesn’t mean it would be required to build to the maximum. For example, even if the zoning allows multi-family housing, it would still be possible to build single-family homes. The rezoning’s main intent is that the land would no longer be restricted to Parks and Recreation, but could also be used for Housing.

The Town remains in control of what kind of development, and how much, could occur on the rezoned lands. The future public consultation process to refine these land uses is outlined under “What public consultation and process is involved?”.

What consultation has occurred to date?

Engagement activities to date have included:

  • Eleven meetings with residents’ associations, golf course members, and community groups. These meetings included a brief background presentation, followed by discussions about the potential benefits of the project, as well as the concerns. The meetings also focused on hearing community members’ priorities for the lands, including preferences for land use, community amenities, and environmental protection.
  • Two Open House presentations on September 9, 2025 (3pm to 7pm). Over 600 participants attended and shared feedback via project storyboards and took part in interactive activities about the potential Eaglecrest lands development. View the Open House Summary and Presentation.
  • Public Open House on October 6, 2025 that drew approximately 400 attendees and 35 speakers to provide input on the proposed zoning and Official Community Plan (OCP) amendments. View the meeting video and public comments).
  • Over 800 responses received via an online survey open from September 9–28. 2025. View results.

What future consultation opportunities will be available?

  • Collaboration with the Eaglecrest Residents’ Association and broader community to refine development potential for key areas (Areas 1, 2, 3, and 7) before any lands are offered for sale.
  • Direct engagement with neighbouring property owners adjacent to Area 8 (Royal Dornoch North) regarding potential purchase interest before public listing.
  • Final scale and configuration of any Golf Course development will be determined through future public consultation.

When will technical information be available?

  • Environmental studies: Complete.
  • Traffic study: Full study including Highway 19A/Country Club Drive intersections will be conducted between late 2025 and early 2026.
  • Design guidelines: To be advance through the Official Community Plan Review – currently in progress.
  • Green Space and Trail Planning: Exploration of additional public green space, pedestrian loops, and buffering measures on the larger development parcels in late 2025 and early 2026.
  • Registration of a Section 219 Restrictive Covenant on Area 3 prior to land disposition: To ensure that any future Institutional use on Area 3 is limited to Seniors Care and Seniors Housing. The zoning in Area 3 also allows residential use, so it could ultimately be developed entirely for housing rather than an institutional facility. The future use for Area 3 would be the subject of future design and public engagement
  • Golf Course Concept Plan: A professional golf course consultant will prepare a revised nine-hole design and cost estimates is in progress.

Why was a referendum not required?

The purchase of the Eaglecrest Golf Course did not require a referendum because the Town is not borrowing funds to complete the acquisition. Under the Community Charter, a referendum (or an alternate approval process) is generally only required if a municipality proposes to incur long-term debt or to dispose of certain classes of public assets.

In this case, Council directed that the acquisition be funded entirely from existing reserves, land sale proceeds, community amenity contributions, and accumulated surplus. Because no borrowing bylaw was required, the statutory triggers that would necessitate elector approval were not engaged.

Has the Town made a final decision to buy the land?

Yes. On October 30, 2025, the Town announced that it will purchase the Eaglecrest Golf Course lands. This decision follows a period of public feedback, technical assessments and financial feasibility studies.

How does the purchase price compare to past transactions?

The $8.5M purchse price considers the 2024 appraised value of $3.41M, financial value associated with rezoning potential, and other potential community benefits such as parkland. Past purchase values are not directly comparable, as they included different lands, zoning and operations. After much discussion and negotiation, this final price is lower than what the seller first asked for, but higher than the Town’s starting offer.

What is the purchase price of the Golf Course lands?

The $8.5M purchase price covers acquisition. Additional costs include consultants, legal, and realtor fees. Land sales are expected to offset costs, with a potential surplus being reinvested into other community amenities and infrastructure, based on future Council decision-making.

Could the Town fund the purchase without selling any land?

Possibly. If the community supports the purchase but prefers less development, the Town could explore other funding models such as taxation or a Local Area Service. This is not the current proposed approach, but could be explored if there is community interest.

Which Town projects will be deferred until land sales occur?

Some 2026 Financial Plan projects will be delayed until land sale revenues are received and staff capacity becomes available.

Deferred capital projects:

  • Bus Garage Site Works ($800k)
  • Saahtlam Park Amenity Improvements ($350k)
  • Pickleball Courts ($85k)
  • Operations Modernization (excluding initial phase of Needs Assessment)

Deferred Strategic Initiatives:

  • Airport Master Business Plan
  • Community Park Needs Assessment
  • Food Action Plan
  • Performing Arts Cinema land search
  • Climate Change Adaptation Plan update
  • Community Park Site Review
  • Accessibility Dwelling Unit Design Template
  • Parking Management Strategy

Once the revenue from land sales is received and staff capacity becomes available, these projects will be reinstated with revised timelines based on future Council decision-making.

What if the land identified for development does not sell, or sells slowly?

The Town has received professional financial advice and will phase land sales and budget contingencies to mitigate risk, based on future Council decision-making.

Could these land sales generate a surplus?

Preliminary financial modelling indicates that land sales have the potential to fully recover acquisition costs (estimated at ~$8.5M) while generating additional revenue to provide funds for priority capital projects, including but not limited to:

  • open space and recreation (i.e., golf course, trails and parkland);
  • transportation and traffic calming (i.e., roundabout);
  • environmental management (i.e., reforestation and drainage); and
  • drainage and Asbestos Cement (AC) Pipe replacements.

Will my taxes go up if the land does not sell?

In determining the feasibility of the project, Council was careful to consider the market and to ensure it was financially viable for the project costs to be covered through land sales. Unlike borrowing, funding the acquisition through land sales is intended to avoid any tax impact. Future Council decisions will determine which amenities and infrastructure are funded, as well as the timing and extent of land sales.

Who is the private donor, and are there conditions to their donation?

The Town of Qualicum Beach has signed a conditional donation agreement with a private donor that could contribute 25% of the purchase price for the Eaglecrest Golf Course lands, up to $2.125 million.

The donor has chosen to remain anonymous until after the acquisition is complete. Their only condition is that the contribution be used to ensure the permanent protection of the areas identified as “Reforested Parkland” on the Potential Land Use Map previously published by the Town (approximately 40 acres).  The map is available on this page.

The donation is conditional on the Town acquiring the property.

What areas will be developed first?

Two small residential parcels adjacent to Royal Dornoch Drive (labeled D below) will likely be sold early, either wholly or in part. These parcels are already zoned for residential use and owned by the Town. The larger parcels being considered for residential use require further analysis and public consultation (refer to ‘What public consultation and process is involved?’ on this page.)

Royal Dornoch

Parcels on Royal Dornoch Drive anticipated for disposition (labeled ‘D’ in the above image)

Why does the majority of parkland appear on the east side of Eaglecrest, not the west?

Eastern lands are less developable due to limited road access and are ecologically valuable. A portion of the land eastern lands are also subject to an existing covenant preventing development. These factors supported the permanent protection of parkland on the west portion of Eaglecrest.

Why is denser housing focused around Country Club Drive?

Good road frontage and servicing make it suitable for varied housing while minimizing neighbourhood impacts. Residential development in this area would also have convenient access to the Eaglecrest Golf Course Clubhouse, an existing community hub.

Are unused fairways like Blind Bogey suitable for development?

Yes, where road frontage exists. Some of these lands are identified for residential use. The remainder will be protected with a covenant

Why is the 9-hole Course located between Country Club Drive and Eaglecrest Drive?

This layout preserves other fairways for housing and parkland while retaining a compact course.

Will the golf course stay open?

The course may close (or partially close) for repair and reconfiguration, however, the Town will retain a 9-hole golf course as part of the acquisition plan.

What other Golf Course options were considered?

Professional consultants are reviewing alternatives. No final design has been considered by Council yet.

What are the Town’s plans to operate the Golf Course?

The Town does not intend to operate the Course directly, but to lease the Course to a third-party operator. Improvements to the Course could be undertaken by the new operator.  If the Town has surplus funds from land sales, such improvements could be funded by the Town, subject to future Council decision-making.

How will reforested parkland and habitat areas be protected?

The Town will register a covenant to prevent future development of the 40+ acres identified for reforested parkland.

How will these park areas be managed?

A management plan has yet to be developed and is subject to future Council decision-making. Some of the options include partnering with the golf operator, a third-party contractor or municipal management funded by lease revenues.

 

How will infrastructure issues (roads, drainage, Hwy 19A access) be addressed?

If revenues exceed costs, funds could support improvements to drainage, traffic, and pedestrian upgrades. Further analysis and Council decision-making is required.

How will this project affect the Village Way/Hwy 19A roundabout?

The Town may advance roundabout construction, subject to further analysis of future land sale revenues. Council understands the importance of the proposed roundabout and anticipates that this amenity will be part of a Land Sale Funding Strategy. Decision-making on this important project will be subject to further technical analysis, land sales and formal Council decision-making.

Contracts held with the former golf course owners did not transfer to the Town during the purchase. Because the Town is now selecting a new operator for the course, existing members should not expect current memberships to carry over.